Content Detail

Shingle oak is native to Illinois and to part of the Chicago region. This tree is not easily recognized as an oak due to an atypical, unlobed leaf.

It is not used as commonly as other oak species, but would be valuable as a parkway tree.

This species is native to the Chicago region according to Swink and Wilhelm’s Plants of the Chicago Region, with updates made according to current research.

  • Family (English) Beech
  • Family (botanic) Fagaceae
  • Planting site City parkway, Residential and parks, Restricted sites, Wide median
  • Tree or plant type Tree
  • Foliage Deciduous (seasonally loses leaves)
  • Native locale Chicago area, Illinois, North America
  • Size range Large tree (more than 40 feet)
  • Mature height 50-60 feet
  • Mature width 50-60 feet
  • Light exposure Full sun (6 hrs direct light daily), Partial sun / shade (4-6 hrs light daily)
  • Hardiness zones Zone 4, Zone 5 (Northern Illinois), Zone 6 (City of Chicago), Zone 7, Zone 8
  • Soil preference Moist, well-drained soil
  • Drought tolerance Moderately tolerant
  • Other tolerances Alkaline soil, clay soil, Dry sites, Occasional drought, Wet sites
  • Season of interest early winter, midwinter, early fall, mid fall, late fall
  • Flower color and fragrance Inconspicuous
  • Shape or form Oval, Pyramidal
  • Growth rate Slow
  • Transplants well Yes
  • Planting considerations Messy fruit/plant parts
  • Wildlife Browsers, Game birds, Game mammals, Migrant birds, Small mammals
  • Has cultivars No

More Information

Native Geographic Location and Habitat  

Shingle oaks native range encompasses most of the central Midwest. C-Value: 7

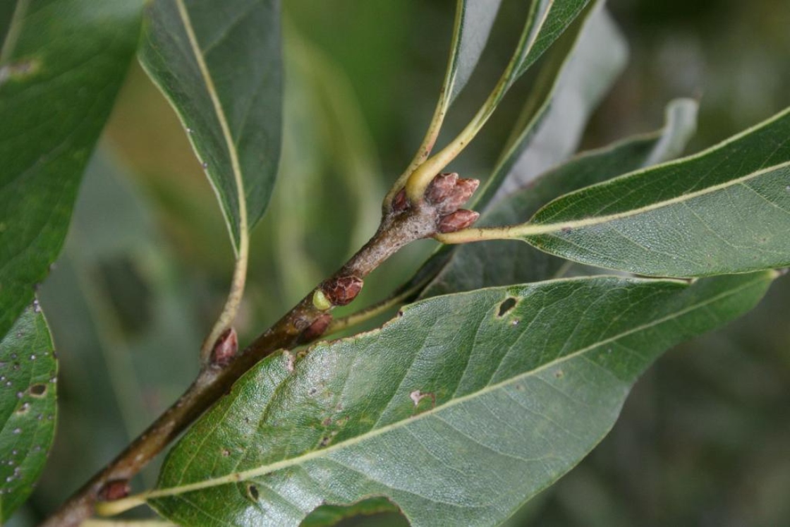
Bark Description

Bark is light gray and smooth when young, maturing into shallow furrows.

Leaf Description

Simple, alternate leaves are oblong and unlobed, with one bristle at the tip of the leaf. They are up to 6 inches long. Dark green in summer, changing to yellow-brown to russet  in fall. Leaves persist through the entire winter.

Flower Description

Male flowers are in dangling catkins, while the female flowers are smaller and held close to the stem. Neither are ornamentally important.

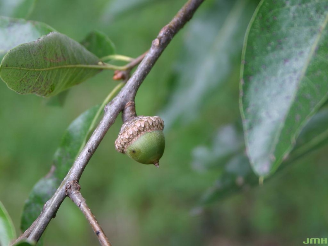
Fruit Description

Acorns, 1/2 to 2/3 inch long, are topped with a thin cap enclosing the top 1/3 of the nut.

Care Knowledge

Part Care

Although it has a taproot, shingle oak can be easier to transplant than some oaks. The tree is fairly salt tolerant. Prune oaks in the dormant season to avoid attracting beetles that may carry oak wilt.

Pests, Diseases, and Tolerances  

Oak wilt is a potential disease problem. Insect pests include scale insects and two-lined chestnut borer. Galls caused by mites or insects are common, but not harmful. Tolerant of black walnut toxicity.

Donate

Your support is vital to the Arboretum, where the power of trees makes a positive impact on people’s lives.

Make a gift